深水施工钢板桩围堰设计计算毕业论文
2020-04-12 15:49:41
摘 要
围堰施工通过在局部区域往水底打入坚硬构造物并联结在一起,从而构建一个半封闭的无水、无土的高效安全施工环境,便于水中建筑施工时开挖基坑、修筑基底建筑物。而钢板桩强度高,能够轻松打入坚硬土层;防水性能好,便于水下施工;成本低,能重复使用,诸多优势使其在围堰施工,防洪断流领域上得到广泛的应用。
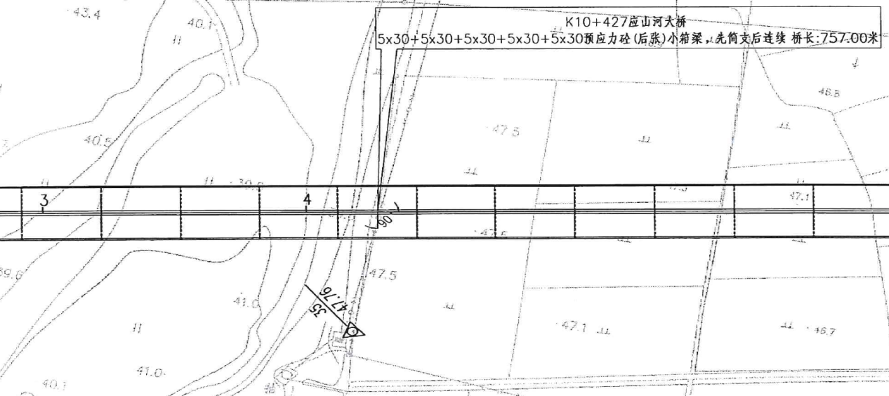
首先,本文在收集整理国内外钢板桩围堰研究进展资料的基础上,总结其计算方法,分析比较了传统计算方法中的自由支承法、弹性曲线法、等直梁法和现代通用的有限元分析法。以K10+427应山河大桥为工程研究背景,对其8#、9#、10#、11#、21#墩水中墩的钢板桩围堰施工进行方案设计,数据验算。钢板桩围堰施工技术的成熟不但能保障施工进度和人员的安全、减少财产的损失,还代表着我国基础工程建设技术的又一大新发展。
其次,在设计过程中,我们运用了有限元MIDAS/Civil软件对钢板桩围堰的施工过程进行建模,探讨水深、流速、水底岩土层对钢板桩围堰产生的结构整体变形,计算出施工过程中三种不同工况下钢板桩和围囹的最大剪应力、正应力以及挠度的变化,以容许载荷为标准,进行钢板桩强度,承载力验算。
最后,在上述理论和方法下,制定了一套有效的施工方案和合理的施工工序,确保了施工安全、顺利进行。。
关键词:围堰施工;有限元分析;施工工况
Abstract
Cofferdam construction through hard works in the local area to the bottom and join together, to build a semi-closed anhydrous and soilless efficient safety construction environment, facilitate the water construction excavation of foundation pit, construction base building. The steel sheet pile has high strength and can easily break into hard soil layer. Good waterproof performance, easy to underwater construction; Cost is low, can be reused, many advantages make it in the construction of cofferdams, flood control and cut off the flow of a wide range of applications.
At first, this paper collected materials of steel sheet pile cofferdam research progress at home and abroad, on the basis of summarizing its calculation method, compared the traditional calculation method of free support method, elastic curve method, such as straight beam method and the modern general finite element analysis method. Based on the engineering research background of K10 427 yingshanhe bridge, the construction scheme of steel sheet pile cofferdam with water piers of pier no.8, no.9, no.10, no.11 and no.21 was designed, and the data were verified. The mature construction technology of steel sheet pile cofferdams can not only guarantee the construction progress and the safety of personnel and reduce the loss of property, but also represent another major new development of China's infrastructure construction technology.
Second, in the process of design, we use the finite element software MIDAS/Civil construction process of the steel sheet pile cofferdam modeling, the effects of water depth, flow velocity, underwater rock layer of steel plate pile cofferdam, the structure of the whole deformation calculated three different working conditions during the construction of steel sheet pile and surrounding the change of the maximum shear stress and normal stress and deflection way, on the basis of allowable load, steel sheet pile strength, bearing capacity calculation.
Finally, under the above theories and methods, an effective construction plan and a reasonable construction procedure are worked out to ensure the safe and smooth construction.
Key words: cofferdam construction; finite element analysis; construction condition
目 录
第1章 绪论 1
1.1选题背景 1
1.2 设计意义 1
1.3 国内外研究现状分析 2
第2章 计算方法 4
2.1传统计算方法 4
2.1.1自由支承法 4
2.1.2 弹性曲线法 5
2.1.3 等值梁法 6
2.2 有限元计算方法 7
第3章 围堰工程 8
3.1 工程概况 8
3.2 设计简介 9
3.3 施工步骤 11
3.3.1钢板桩施工 11
3.3.2围囹支撑施工 11
3.3.3 水下开挖 12
3.3.4 水下封底 12
3.3.5抽水与钢板桩拆除 12
3.4 设计依据 13
第4章围堰设计 14
4.1 围堰 14
4.1.1围堰设计的选取 14
4.1.2 钢板桩围堰布置形式 14
4.1.3 钢板桩围堰施工注意事项 17
4.2荷载计算 17
4.2.1恒载 17
4.2.2活载 17
4.3 基本参数 17
4.3.1地质资料 17
4.3.2钢板桩截面特性 18
4.4 模型概况与计算 18
4.5 数据分析 29
第五章 结论与展望 32
5.1 结论 32
5.2 展望 32
参考文献: 33
致谢 34
第1章 绪论
1.1选题背景
在20世纪70年代,道路桥梁的修建以欧美发展最为迅猛,到90年代,日本也兴起一股建设热潮,随后21世纪初,我国建设行业在数代人的共同努力下自主创新、取得巨大突破,已处于世界顶尖水平。改革开放以来,我国城镇化不断加快,经济步入高速发展时期,为适应国情、加强区域之间的经济交流,公路桥梁建设得到了大力支持。2008年,1088米跨径的苏通大桥通车,被评选为世界最大跨径斜拉桥;2011年6月,全长36.48公里的世界最长跨海大桥--胶州湾跨海大桥、起于丹阳止于昆山的世界第一长桥--京沪高速铁路特大桥皆修建完毕;被英国某杂志评选为“现代七大奇迹”之一的港珠澳大桥也在高技术、高要求以及恶劣的海上施工环境的重重考验下,一步步迈向胜利。据数据显示,至2016年底,我国公路桥梁总数逼近80万座,铁路桥梁总数超过20万,大桥已成为了中国面向世界的新名片。
随着建设事业的发展,越来越多的桥梁需要跨越河海湖泊,这也要求着更成熟先进的深水施工技术。钢板桩围堰是最常用的一种板式围堰,其有以下优势:轻型,高强度,防水性能好;耐久性强,使用寿命长达20余年,可重复性使用;施工便捷,能大幅度缩减经济支出;安全性能好,在救灾抢险中能及时拆卸、协助救援;占地小,施工时不用考虑气候、环境等因素。因而,钢板桩围堰技术在众多深水基础建设中被加以借鉴、运用。例如,广州新光大桥修建过程中,考虑到主墩位居珠江主航道,在水流作用下施工极其困难,因而采取了钢板桩围堰工方案,对围堰底部进行混凝土封层;全长35673米杭州湾跨海特大桥下部钻孔灌注桩施工时采取了圆形单层钢板桩施工;除此之外,武汉二七长江大桥、南水北调项目中的杨家屯段河闸工程等均运用了钢板桩围堰技术。
1.2 设计意义
“万丈高楼平地起”,基础作为建筑的一个组成部分,它的设计与施工的质量的高低直接影响着建筑的合理性,经济性和结构稳定性。水中基础较旱地基础在建设施工中明显要困难繁琐很多,为克服水下施工的恶劣环境,需采取浮运沉桩、围堰抽水等特殊方法。
钢板桩围堰施工虽然解决了水底地形复杂不便板墙打入,水压、流速大、施工情况恶劣等问题,但工程事故依旧不可避免的在发生,带来了严重的人员伤亡和经济损失。其缘由来于:(1)结构布置缺乏科学指导。边施工边对结构进行调整,无端地增加了经济开支,导致工程进度缓慢;(2)结构材质选取的不合理。在外力冲击下,结构容易失稳,发生垮塌,易造成人员财产双重损失。这些情况大多是源于设计中结构荷载施加错误或施工方法不当。针对目前存在的这些问题,我们可以钢板桩围堰为例,对其支撑结构进行设计计算,并进行安全性验算分析。
1.3 国内外研究现状分析
钢板桩最原始是由铸铁加以木材建造而成的简易板桩,后随着20世纪轧钢技术的兴起,人们意识到了以轧钢为基础的钢板桩不仅质量高、稳定,还大大节省了工程费用,具有良好的发展前景,因而开始了对钢板桩技术的一步步探索、研发与创新。
钢板桩于20世纪初开始在欧洲产出并投入使用,1903年,日本三井本馆的挡土施工中引入钢板桩,成为亚洲地区的首次钢板桩施工尝试。随后,在1923年的日本关东大地震重建工程中大量进口使用。1952年,我国引进钢板桩,开始运用于铁路桥梁围堰施工中。随着我国建设事业的不断兴起,各种新颖高效的施工方法得到世界认可,21世纪初,我国钢板桩围堰研究得以迅猛进步。
以上是毕业论文大纲或资料介绍,该课题完整毕业论文、开题报告、任务书、程序设计、图纸设计等资料请添加微信获取,微信号:bysjorg。
相关图片展示:








        
            
