基于RGB色彩模式的多带隙光子晶体纳米链的构筑与光学性能毕业论文
2021-12-10 17:50:24
论文总字数:24339字
摘 要
响应性光子晶体能够根据外界刺激的强弱改变自身的光学带隙,布拉格衍射峰随之发生移动,从而达到改变结构色的目的。而在众多响应性光子晶体中,磁响应光子晶体有着磁场施加简单、易组装、响应速度快、在可见光谱范围内变色等特点,基于这些特点所制备得到的磁性光子晶体链,由于其链中的粒子间距基本固定,带隙结构固定,颜色不易随磁场改变,但仍能够通过引入其它响应性物质,达到调色的目的,因此可以用于显示、传感、防伪等领域。多带隙光子晶体由于其多带隙的存在,其颜色所包含的信息得到了丰富,使其在光学防伪、编码等领域有重要的应用价值。由于制备方法的局限,目前发展的多带隙光子晶体,在微区尺寸上半高峰宽较宽,颜色饱和度差,限制了它的应用。本文采用磁控自组装及紫外光聚合相结合的方法,制备得到了不同反射峰位的Fe3O4@PVP@HEMA光子晶体纳米链,并对其光学性能、形成机理进行了探究。本文的研究结果如下:
(1)以Fe3O4@PVP胶体纳米粒子作为组装基元,结合磁控自组装与紫外光聚合这两种方法制备得到了红、绿、蓝三色光子纳米链。链能够构筑主要是由于PVP壳层提供了空间位阻排斥力与磁吸引力平衡,且PVP壳层上存在氢键受体,使得其能够与单体,即甲基丙烯酸羟乙酯(HEMA)分子上的羟基通过氢键结合在一起,令单体集中在PVP分子链上,导致粒子周围的HEMA浓度高于溶液中其它的部分,而在固化过程中,粒子周围的聚合反应速度快于其他部分的反应速度,从而使得链状结构固定下来。
(2)使用已制备的红、绿、蓝三色光子纳米链,两两进行混合,得到了青色(绿色 蓝色)、洋红色(红色 蓝色)、黄色(红色 绿色)的双带隙光子晶体。通过分析这三种双带隙光子晶体的反射光谱可以得到,仅需改变红、绿、蓝三色光子纳米链的混合比例,即可获得不同颜色的双带隙光子晶体。
关键词:磁性光子纳米链;RGB色彩模式;多带隙光子晶体
Abstract
Responsive photonic crystals could change their band gap according to the intensity of the external stimuli, their Bragg diffraction peak will move accordingly, and thus changing their structural color. In many kinds of responsive photonic crystals, the magnetically responsive photonic crystal has the characteristics of easy to apply magnetic field, convenient assembly, fast response and color changing in visible spectrum. Based on these characteristics, the prepared magnetic photonic crystal chain is not easy to change color with the magnetic field because of the fixed particle spacing, fixed bandgap structure. But we can still achieve the purpose of color matching by introducing other responsive substances, so it can be used in fields such as display, sensing and anti-counterfeiting. Due to the existence of multi-bandgap, the color information of multi-bandgap photonic crystal has been enriched, which makes it have important application value in the fields of anti-counterfeiting, coding and so on. Owing to the limitation of the preparation method, the application of the multi-bandgap photonic crystal is limited by its wide half peak width in micro area size and poor color saturation. In this paper, the Fe3O4@PVP@HEMA photonic crystal nanochains that have different reflection peak are fabricated by the combination of magnetic control assembly and UV-light initiated polymerization. The optical properties and formation mechanism are studied in this work. The main work is as follows:
(1)Take Fe3O4@PVP colloidal nanoparticle as building block, the red, green, blue photonic crystal nanochains are fabricated by the combination of magnetic control assembly and UV-light initiated polymerization. The chain can be constructed mainly due to the PVP shell. PVP shell provides the steric repulsion force, and there is hydrogen bond receptor on PVP shell, which makes the monomer(HEMA) enriched on the PVP chain, resulting in the higher concentration of monomer around the particles than other parts of the solution, making the polymerization around the particles faster than other parts in the curing process, thus fixing the one-dimensional chain structure formed by Fe3O4@PVP colloidal nanoparticle.
(2)Using the prepared red, green, blue photonic nanochains, two of them are selected for mixing, and the cyan(green blue) ,magenta(red blue), yellow(red green) two-bandgap photonic nanochains are obtained. By analyzing the reflection spectrum of these three kinds of double-bandgap photonic crystals, we can get different color by changing the mixing proportion of red, green and blue photonic nanochains.
Key Words: Magnetic photonic nanochain; RGB color mode; Multi-bandgap photonic crystal
目 录
第一章 绪论 1
1.1响应性光子晶体 1
1.1.1 光子晶体简介 1
1.1.2 响应性光子晶体简介 2
1.2 磁响应光子晶体 2
1.2.1 磁响应光子晶体研究进展 2
1.2.2 磁响应光子晶体纳米链 3
1.3 响应性光子晶体纳米链 4
1.3.1 温度响应光子晶体纳米链 4
1.3.2 pH响应光子晶体纳米链 5
1.4 色彩模式 6
1.4.1 CMYK模式 6
1.4.2 RGB模式 6
1.5 课题的研究背景与研究内容 7
第二章RGB三色光子链及多带隙光子晶体的构筑 8
2.1 引言 8
2.2 实验部分 8
2.2.1 实验试剂 8
2.2.2 实验设备 9
2.2.3 多带隙光子晶体的制备 9
2.2.4 样品的测试与表征 10
2.3 实验结果与讨论 11
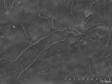
2.3.1 光子晶体链的宏观形貌与微观结构 11
2.3.2 光子晶体链的光学性能 13
2.3.3 光子晶体链的形成机理 15
2.3.4 多带隙光子晶体的构筑与光学性能 16
2.4 本章小结 17
第三章 总结 18
参考文献 19
致谢 21
第一章 绪论
- 响应性光子晶体
1.1.1 光子晶体简介
光子晶体这一概念最早于1987年由S.John和E.Yablonovitch分别独立提出[1,2]。光子晶体是不同介电常数的介质在空间按照一定的周期性顺序排列而得到的有序结构材料。光在光子晶体中的传播遵循布拉格定律,当入射光的波长与光子晶体周期性结构常数相对应时,这一波长的光就会被反射回去,形成光子带隙,当反射的电磁波波长在可见光波长范围内时,就会显示出亮丽的结构色。最初,光子晶体是由研究者们人工合成的,随着进一步研究发现,自然界中也存在大量的由光子晶体结构所产生的结构色,例如在鸟类的羽毛、蝴蝶翅膀、甲虫外壳等等中,都发现了光子晶体结构,见图1.1。

图1.1自然界中的光子晶体结构(A)家鸽脖子上的的羽毛和(B)大闪蝶翅膀上的一维周期性结构。(C)雄性孔雀的羽毛和(D)多毛蠕虫彩虹色刚毛中的二维周期性光子晶体结构。(E)宽绒番凤蝶和(F)甲壳虫的三维光子晶体结构[3]
1.1.2 响应性光子晶体简介
响应性光子晶体与普通的光子晶体的不同之处在于,它的光子带隙能够随着外界刺激而随之发生改变。这种材料在受到外界的物理刺激或是化学刺激时,其自身的晶格常数会随之发生变化。光子晶体的对入射光的衍射遵循布拉格衍射定律,即:,其中为衍射波长,为折射指数,为晶格间距,为入射角。所以响应性光子晶体收到外界刺激后,其微观结构发生变化,使得晶格间距发生改变,从而引起其宏观的颜色的改变。因此,衡量响应性光子晶体的性能,通常是观测其在遇到外界刺激源时,其衍射波长的变化情况来判断的。一般来说,外界刺激越小,衍射波长变化范围越大,响应性光子晶体的性能也就越好。
引入具有对外界刺激做出响应的材料是响应性光子晶体构筑的关键,而通常来说,将响应性材料引入光子晶体结构中的方法有两种,其一是在构筑光子晶体时,直接将响应性的材料作为其构筑基元;其二则是在构筑光子晶体的过程中,将响应性物质作为包覆物或是填充物,包覆住整个光子晶体或是填充进周期性结构的缝隙之中,从而构筑成响应性光子晶体。无论是采用上述所说的哪一种方法,构筑响应性光子晶体的关键之处在于挑选合适的响应性材料,所选的材料必须要使得构筑成的光子晶体在遇到对应的外界刺激时,其晶格常数、折射率等性质发生变化。
请支付后下载全文,论文总字数:24339字
相关图片展示:





您可能感兴趣的文章
- 改善锂离子电池中硅基负极存储性能的策略研究外文翻译资料
- 通过添加压电材料BaTiO3提高大功率锂离子电池的微米级SiO @ C/CNTs负极的电化学性能外文翻译资料
- Pd和GDC共浸渍的LSCM阴极在固体氧化物电解池高温电解CO2中的应用外文翻译资料
- 利用同步回旋加速器粉末衍射的方法来研究在有其他物相的情况下C4AF的水化作用外文翻译资料
- 外国循环流化床锅炉发展现状外文翻译资料
- 含石蜡基复合材料的多壁碳纳米管的热性能外文翻译资料
- 矸石电厂炉渣机制砂的应用研究外文翻译资料
- 机动车螺旋弹簧的失效分析外文翻译资料
- 从废阴极射线管和锗尾矿制备高强度玻璃泡沫陶瓷外文翻译资料
- 作为导热液体的液态金属在太阳能储热中的应用外文翻译资料


